Iowa Public Television
 STEM
   November 27 - December 3, 2013
Find the latest educational resources from Iowa Public Television.
Like us on Facebook Follow us on Twitter Visit our blog View our videos on YouTube
Healing Mother Earth for Future Generations
Grades: 3-11

 

In this video segment adapted from United Tribes Technical College, listen as Native Americans share their concerns about climate change. See photographs from the past and hear one woman describe how tribal people were the first environmentalists. In addition, learn how people are noticing that they are losing sacred plants and are concerned for the future. Finally, hear about the importance of education to help future generations live in harmony with Mother Earth. 

 

learn more  

Disasters Declared in Seven Illinois Counties After Rare, Late-Season Storms
Grade Range: 7-12
 

An outbreak of tornadoes blasted the Midwest, leaving at least eight people dead and leveling entire neighborhoods. The most powerful storm cut through Washington, Illinois, Sunday afternoon with winds of almost 200 miles per hour. 

 

learn more  

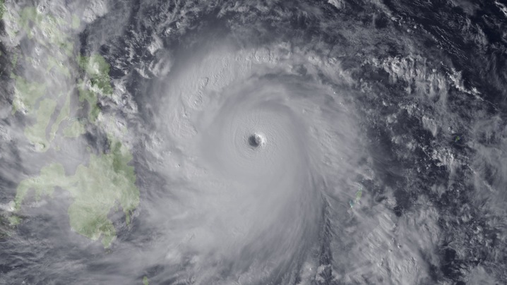
What If Super Typhoons Become a Way of Life?
Grade Range: 7-12

The sheer deadly power of the Philippines typhoon has cast a fresh spotlight on the question, are storms getting stronger as the planet gets warmer?
 

learn more  

The Health Benefits of Exercise
Grade Range: 5-12
 
 
Minnie, a teenager living with diabetes, goes to a gym for the first time to work out, in this video adapted from Living with MyType2. Minnie's coach, Brandi, guides her through different exercises and stretches. She also discusses some strategies that Minnie can adopt to stay motivated to exercise and help control her diabetes.

 

 

 

learn more

Powering Your Body with Exercise   
Grade Range: 5-8

 

In this blended lesson supporting literacy skills, students examine the changes that occur in the body in response to physical activity. Students develop their literacy skills as they explore a science focus on personal health and the role of exercise. During this process, they read informational text, learn and practice vocabulary words, and explore content through videos and interactive activities. When they are finished, students select and complete a writing assignment offline.  

 

learn more  

English and Metric Measurement
Grade Range: 9-13+
 

 

In the United States, we use both the English and the metric systems of measurement to measure length, weight, and volume. We need to understand the relationships among the units of measure in each system. 

learn more  

Math in Special Effects
Grade Range: 7-10

 

Using video and web interactives from Get the Math, students engage in an exploration of mathematics, specifically reasoning and sense making, to solve real world problems and learn how special effects designers use math in their work. In the challenge, students focus on understanding the Big Ideas of Algebra: patterns, relationships, equivalence, and linearity; learn to use a variety of representations, including modeling with variables; build connections between numeric and algebraic expressions; and use what they have learned previously about number and operations, measurement, proportionality, and discrete mathematics as applications of algebra. 

 

learn more  


 Resources  |  PBS LearningMedia  |  PBS KIDS  |  Iowa Public Television