Resort Updates
Sandy Shores Resort Updates

Autumn brings:
1. Beautiful fall colors - the yellow, orange, and red leaves bring so much depth to the trees
2. Harvest - farmers are busy bringing in the crops
3. Thanksgiving - thankful for everyone who is helping to build this community
4. Pumpkin Carving - always a favorite Halloween activity
5. Great Sunsets - Land of Living Skies indeed!
6. Construction! Sandy Shores is buzzing with activity!
7. Trophy Fishing- book your guided tour with the Fishinggeeks
8. Tours! Maps are available on site for self tours or Rauncie is available for guided tours at 306-717-3400.  

Choose your lot now and hold it with a small deposit for Spring 2021 Possession! 


Sandy Shores Marina Update
Marina planning is still underway!  More updates will be coming soon!
Make sure you are signed up for the newsletter.


 
There are 2 spec houses that you can tour on site, listed with Sheila Ashdown at Century 21 Fusion (306-281-3410):
Lot 13 Block 6 
Lot 12 Block 6 


 Feature Lot - Lakefront Lot 8 Block 1:  $249,000




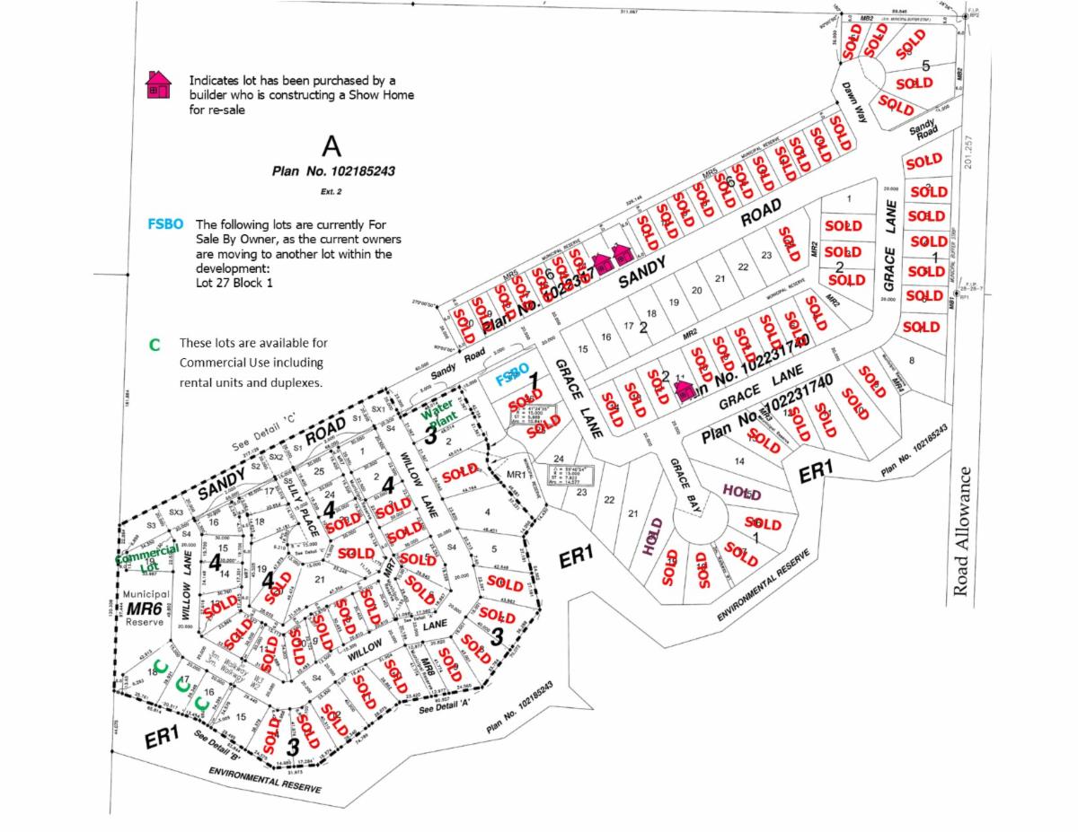
Lots are currently 72% Sold!



    Current Price Lists for Available Lots at Sandy Shores Resort:
 
     Tour titled lakefront & lakeside lots at Sandy Shores Resort on Lake Diefenbaker.  
This is an exceptional location with exceptional services!
Call Rauncie to tour @ 306-717-3400 or visit our website for more info: www.sandyshoresresort.ca 


 A full list of available lots, pricing, and Building Standards are available on the Sandy Shores Resort website.    


jmml_org2_btn.gif 

Contact us for more details.                                                      Like us on Facebook
Sandy Shores Resort
  Phone: 1-877-249-2939