May/June 2025

NICU Saves 3-Week Premature Foal

The Equine Critical Care and Neonatology team is featured on the latest episode of the Dean Mark Stetter’s “Minute with Mark” video series. Ollie, a 3-week premature foal, could not stand or nurse. Thanks to our critical care specialists, he is now healthy and has returned home.

All Species Imaging Center Set to Open

Our new All Species Imaging Center is nearly open. Construction is nearly complete, and equipment has been moving in the past few weeks. The center will be a hub of all advanced imaging such as CT scans, high field MRIs, PET scans, and the addition of UC Davis' first standing equine CT scanner, which will revolutionize how we can diagnose and care for horses. Thanks to the generosity of many donors, the entire building and two of the new scanners were donor funded. Stay tuned to our news page and social media for more news about the center's opening in the coming weeks.

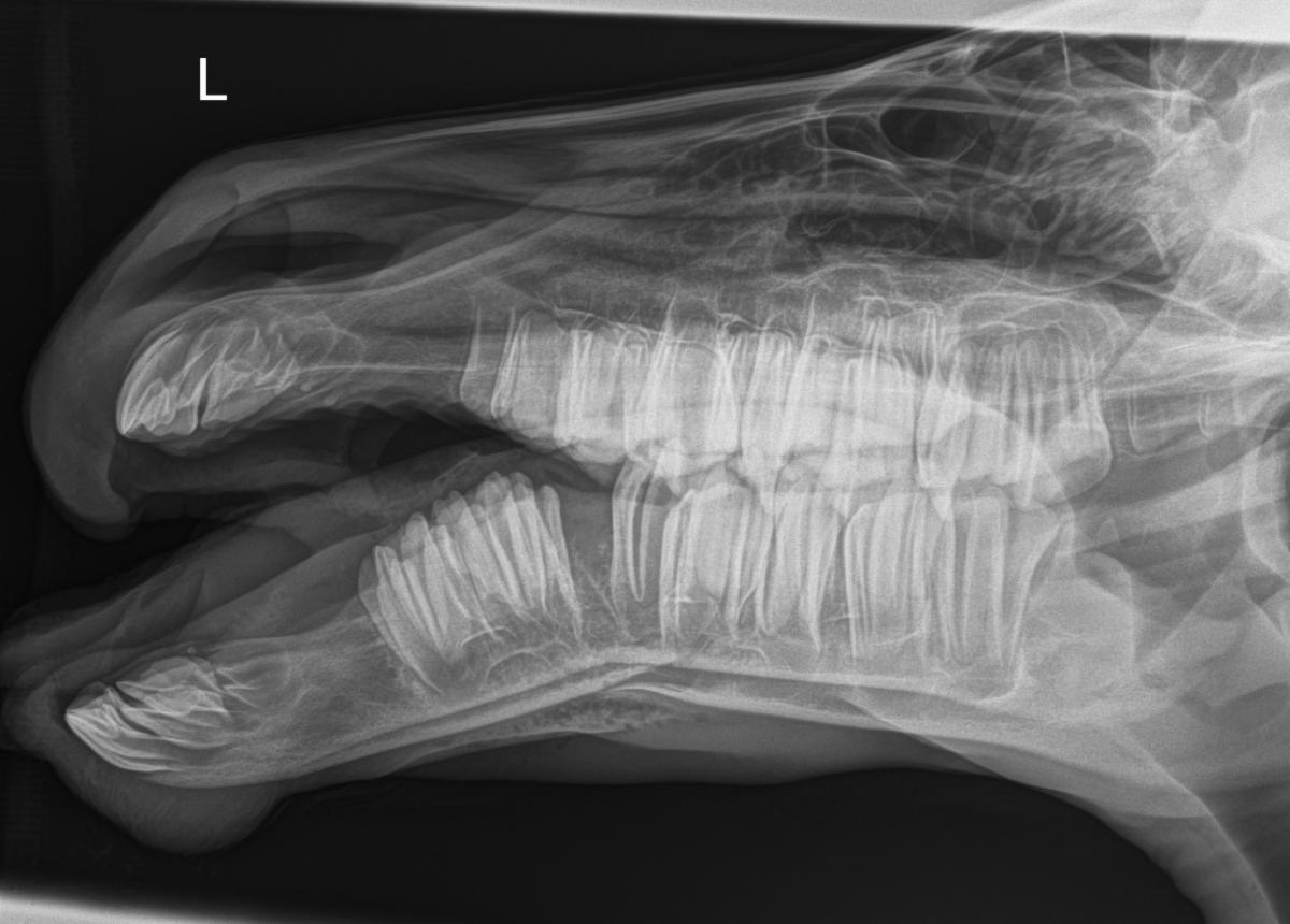
Surgeons Repair Newborn Foal’s Broken Jaw

Quincy, a 5-day-old foal, was found in the stall with her jaw bloody and hanging out of place, appearing broken on both sides. Once at the UC Davis Large Animal Hospital, x-rays showed complete displaced fractures of both of her mandibles. A CT scan was performed to classify the fracture and help the surgeons plan their surgical approach. It was determined that the fractures would be stabilized with external fixators; surgeons reduced the fractures and placed locking compression plates on the exterior of her face. Intra-operative radiographs (fluoroscopy) were used to confirm accurate reduction of the fracture and placement of the external implants. She was hospitalized for a week, and the fixators were removed five weeks after surgery.

Emergency Team Saves Mare Injured in Trailer Accident

Daisy Mae, an 18-year-old Paint mare, was hung up on the metal bar divider of the trailer stalls during transport. Cut badly, Daisy Mae was cared for by a veterinarian on site but was referred to UC Davis when the wound was discovered to be much deeper than originally anticipated, going through multiple muscle layers. The equine emergency team performed a thorough workup which revealed significant damage to Daisy Mae’s abdominal wall. After careful cleaning and reconstruction of the torn muscles under general anesthesia and supportive care in the Large Animal ICU, Daisy Mae was saved and discharged after eight days.

Meet Dr. Sarah Depenbrock

Let’s get to know the chief of our Livestock Medicine and Surgery Service. Dr. Sarah Depenbrock first arrived at UC Davis as an undergraduate student in 2001 and continued for veterinary school. After receiving her DVM, she completed a residency in livestock medicine and surgery, becoming board certified in large animal internal medicine. Dr. Depenbrock’s favorite cases include unique electrolyte puzzles, dystocias, and surgeries of all kinds. Following residency, her career took her all over North America in both field and hospital settings, but her heart brought her back to UC Davis. When not in the hospital, she’s usually teaching, working on research, or at home with her sheep, chickens, dog, and cat. On occasion, you might find her trail riding on her mountain bike.

Meet more Livestock Medicine team members on their service's Facebook page.

Equine Reproduction Advancements

UC Davis’ tradition of serving horse breeders and its long-standing relationship with the horse industry in California and around the world has led to a wide range of advances in equine reproduction. Because of this, the Equine Reproduction Service has experienced significant growth over the past few years. Working with hospital and school leadership, the service has increased its team and treatment areas, and working with the school’s Veterinary Assisted Reproductive Technology Laboratory, they are expanding the limits of reproduction technology. The service has increased the number of veterinarians and is seeing more patients than ever, increasing their caseload by 10% last year.

The latest issue of Horse Report (below) is focused on equine reproduction.

Faculty Lecture at Equine Event

Thanks to Drs. Emily Berryhill and Rana Bozorgmanesh of the Equine Internal Medicine Service for sharing their expertise recently at the Western States Horse Expo, giving presentations on equine metabolic syndrome and gastric ulcers.

Horse Report

The Spring 2025 issue of the Horse Report is available. The award-winning newsletter from the UC Davis Center for Equine Health (CEH) is published quarterly with the most current information on a variety of equine health issues.


This latest issues contains articles on:

  • Director's Message from Dr. Carrie Finno
  • UC Davis Equine Reproduction Service & Veterinary Assisted Reproduction Laboratory
  • Equine Assisted Reproductive Techniques (ART)
  • Equine In Vitro Embryo Production: Making Horses in a Lab
  • A Bone to Pick: Measuring Key Skeletal Developmental Milestones In Utero To Predict Foaling Date
  • 10 Things You Might Not Know About Assisted Equine Reproductive Techniques
  • Pioneering Petri: The First ICSI Foal at UC Davis


Read them all and subscribe to the Horse Report to receive this news every quarter.

Synergy

Read Additional News from the School of Veterinary Medicine


Discover Synergy, the School of Veterinary Medicine's biannual magazine highlighting the latest clinical advances, research updates, and other school news. The latest issue focuses on the critical role of fundamental research.

Reach the Large Animal Hospital:

530-752-0290 (clients)

530-752-4050 (referring veterinarians)

Follow the Large Animal Hospital on Facebook

Facebook  Instagram  LinkedIn  TikTok  YouTube